索比光伏网讯:日本Avionics开发出了无人机或灾害机器人等配备用的红外热成像相机试制品,已从2015年4月8日开始试销。像素为320×240,温度分辨率为0.04℃,为方便配备于无人机,将重量控制在了400g。还配备了200万像素的可见光摄像头。

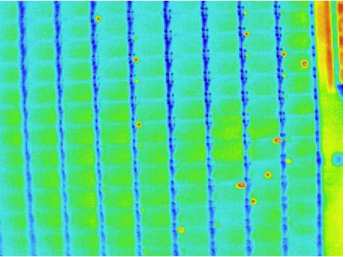
该产品的测量温度范围为-40~1500℃。除了可检测太阳能电池板的异常、诊断混凝土桥梁和建筑物的外墙之外,还能用来监控火山。可以由无人机的信号控制开始或结束拍摄。记录模式可以选择单次对焦拍摄(OneShot)、间隔拍摄(间隔3秒以上)和视频拍摄(10帧/秒以下)。还能与可见光摄像头在同一角度拍摄。拍摄的数据保存在SD卡中。具有视频输出功能,若用户自行准备无线传输功能,可以在地面上监控。


太阳能电池板的可见光图像

太阳能电池板的红外图像

混凝土桥梁的可见光图像

混凝土桥梁的红外图像
原标题:Avionics开发出无人机用红外相机 用于太阳能电池板和桥梁诊断
索比光伏网 https://news.solarbe.com/201504/15/192366.html

